Main content
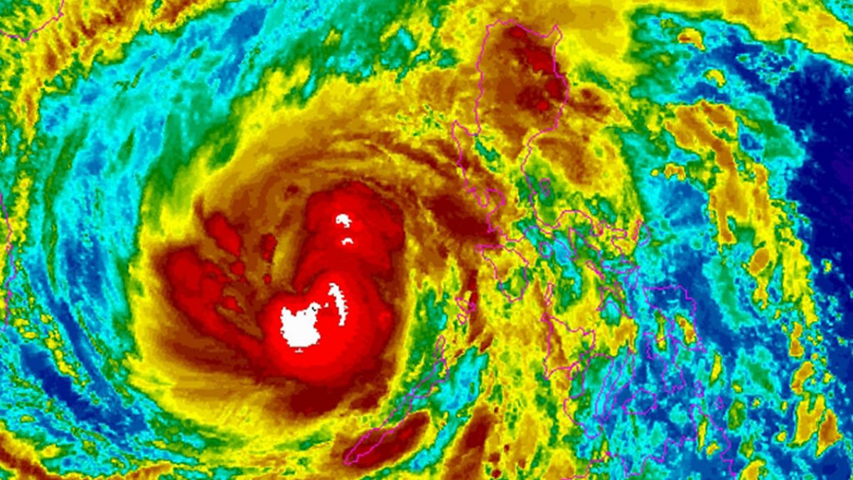
"Complete devastation" caused by Typhoon Haiyan
BBC's Rupert Wingfield-Hayes in Tacloban describes "complete devastation" caused by Typhoon Haiyan
Duration:
This clip is from
More clips from Sunday Breakfast
![]()
Former Arsenal captain slams Wenger
Duration: 03:44
![]()
Life as a female gang member
Duration: 05:53
![]()
Mafia victim on Pope condemning gangsters
Duration: 05:37
![]()
Jared Leto on having a blast at the Oscars
Duration: 00:33





