Pareidolia: por que muitos veem 'monstro' em imagem de furacão feita por satélite

Crédito, NASA
- Author, Fernanda Odilla
- Role, De Londres para a BBC Brasil
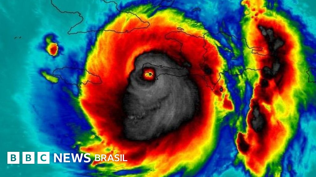
Um monstro? Uma caveira com um sorriso sarcástico? Ou um dinossauro? Uma das imagens do furacão Matthew, feita por satélites da Nasa, pode ser tudo isso ou apenas o registro de cores vibrantes ao redor de uma nuvem cinza. Depende mesmo dos olhos de quem vê.
Trata-se de um fenômeno psicológico que tem nome: pareidolia. Nele, as pessoas reconhecem padrões ou fazem conexões de dados aleatórios com imagens ou objetos.
A palavra tem suas raízes no grego. "Para" significa "junto de", ou "ao lado de"; "eidolon", que ajuda a completá-la, é sinônimo de imagem, figura ou forma.
"É um fenômeno cognitivo, de percepção. Isso significa que o que eu vejo nem sempre é o mesmo que você vê. A pareidolia está ligada a quanto mais se viveu e se viu", afirma o engenheiro brasileiro Maurício Raymundo de Cunto, perito forense e especialista em analisar imagem e som.
Cunto explica que a pareidolia dificilmente se aplica a uma criança de um ano de idade, por exemplo.
"É com o passar dos anos que nós armazenamos informações. O fenômeno fica mais intenso à medida que nosso banco de dados interno cresce e somos capazes de fazer associações", diz o engenheiro. "E há pessoas que têm isso de forma mais intensa."
De 'capetossaurus' a um monstro

Crédito, BBC Brasil/Facebook
Nesta semana, a imagem do furacão Matthew viralizou nas redes sociais por sua similaridade com uma cabeça que ostenta um sorriso macabro. Virou. logo, a "face da morte", uma vez que ele deixou um rastro de destruição e mortes pela América Central, em especial no Haiti.
A imagem feita do espaço mostra a tempestade em cores vibrantes, com destaque para o "olho" cercado por densas nuvens que delineiam o que se assemelha com o formato de um crânio de perfil, com dentes.
Na página da BBC Brasil no Facebook, leitores abusaram da criatividade para descrevê-la: muitos viram um como monstro, um dinossauro, o "capeta" e até mesmo um "capetossaurus" - uma mistura entre as duas opções anteriores. Outros visualizaram apenas um amontoado de cores.
Nos comentários, Ana Cristina S. Oliveira e Leonardo Oliveira citaram a pareidolia, lembrando que o fenômeno é curioso e bem comum.
"Faz com que a gente enxergue formas em coisas bem distintas como um rosto nas nuvens", comentou ele.

Crédito, Getty Images
A torrada santa
O fenômeno, contudo, não é exclusivo à foto da Nasa - tampouco às nuvens.
Há muito tempo pessoas têm visto rostos na lua, em vegetais de formato estranho, em pedras e até mesmo numa torrada queimada.

Crédito, Getty Images
Diana Duyser ganhou fama e fez dinheiro com uma - a semelhança com uma imagem de Nossa Senhora lhe garantiu US$ 28 mil (R$ 90 mil) num leilão no site eBay em 2004.
À época, o comprador, um site chamado Goldenpalace.com, prometeu rodar o mundo com a "torrada santa" e doar para a caridade o dinheiro arrecadado dos que pagariam para ver tal imagem.
Há interpretações ainda mais subjetivas, como a foto de um sobrado em Swansea, no País de Gales, comparada ao rosto do líder nazista Adolf Hitler.

Crédito, BBC/Charli Dickenson
A comparação foi postada por Charli Dickenson no Twitter e viralizou em 2011.
Segundo o engenheiro Maurício de Cunto, muitas vezes o fenômeno é associado a atividades paranormais e a superstições religiosas. "O fanatismo atrapalha muito."
Vozes no chuveiro
Ele explica ainda que o fenômeno não está associado apenas a imagens, mas também com sons.
Perito particular, ele presta serviços para quem precisa de análises técnicas em áudio, foto e vídeo - incluindo casos envolvendo questões conjugais.
Uma vez, lembra, foi procurado por um homem que, após deixar um gravador no banheiro, estava certo de que estava sendo traído pela mulher.
"Ele tinha certeza que ela falava o nome dos amantes enquanto tomava banho. Mas era apenas o som do chuveiro", relata o engenheiro.
Segundo ele, no caso de áudio, a acústica, a qualidade da gravação e ruídos locais interferem e alteram o sons.
Com as imagens não é muito diferente - muitas vezes, explica, diferentes elementos interferem na qualidade da imagem, facilitando associações distintas.

Crédito, Getty Images























