Largest underwater volcanic eruption recorded
- Published
- comments

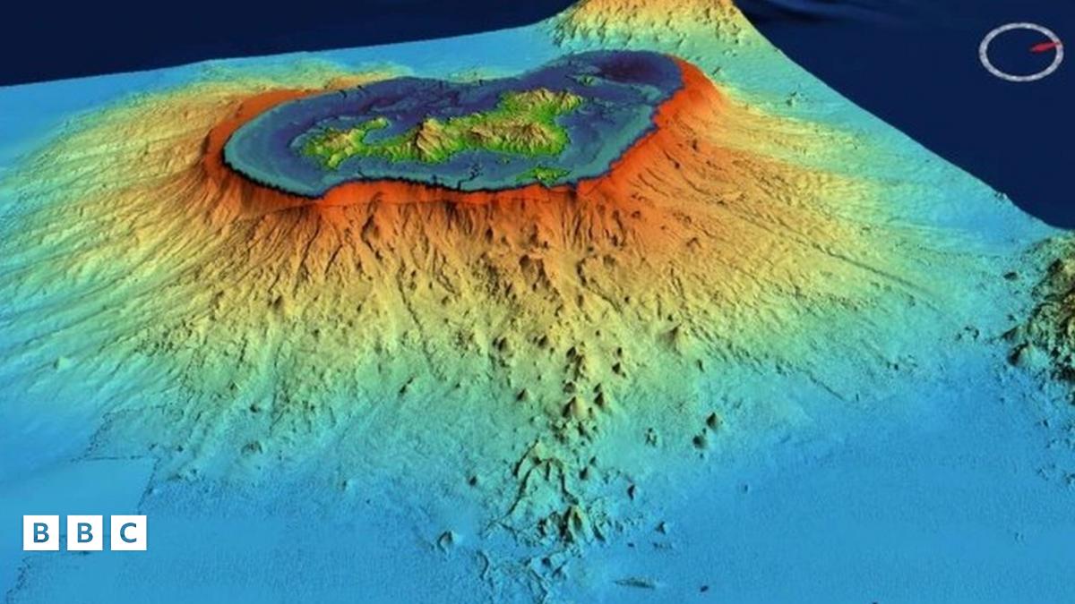
Scientists have revealed the largest ever underwater eruption.
The eruption, which took place in 2018 near the island of Mayotte, between East Africa and Madagascar, was so powerful it created a new volcanic island, that has been growing in size each year.
"This is the largest active submarine eruption ever documented," said the researchers in their paper studying it.
The new volcano has been helping scientists to understand more about deep-Earth processes, which we still don't know much about.
What happened?
On 15 May 2018 a 5.8 magnitude earthquake shook the nearby island of Mayotte.
However, scientists soon realised that the earthquake was in fact caused by an enormous underwater volcanic eruption.
The volcanic eruption was caused when lava was pushed upwards from the Earth's Mantle (one of the Earth's inner layers) before it split off to form a lava channel.
The lava was then pushed up towards the surface through the Earth's crust, causing minor earthquakes as it moved, before causing a big quake as it erupted under the sea.

Scientists have been studying the area around the volcano since February 2019 using an underwater network of seismometers (technology that measures earthquakes).
This network has detected around 17,000 seismic events, as deep as 20 to 50 kilometres (between 12 and 31 miles) below the ocean floor.
The scientists say this is highly unusual, as most earthquakes happen much closer to the surface.
- Published30 September 2021

- Published22 June 2011
- Published27 April 2021
