
In 2013, Australia experienced extreme heat and the consequent fires
This year is likely to be among the top 10 warmest on record, according to the World Meteorological Organization.
It continues a pattern of high temperatures blamed directly on man-made climate change.
The president of the World Bank, Jim Yong Kim, told BBC News that warming could no longer be ignored.
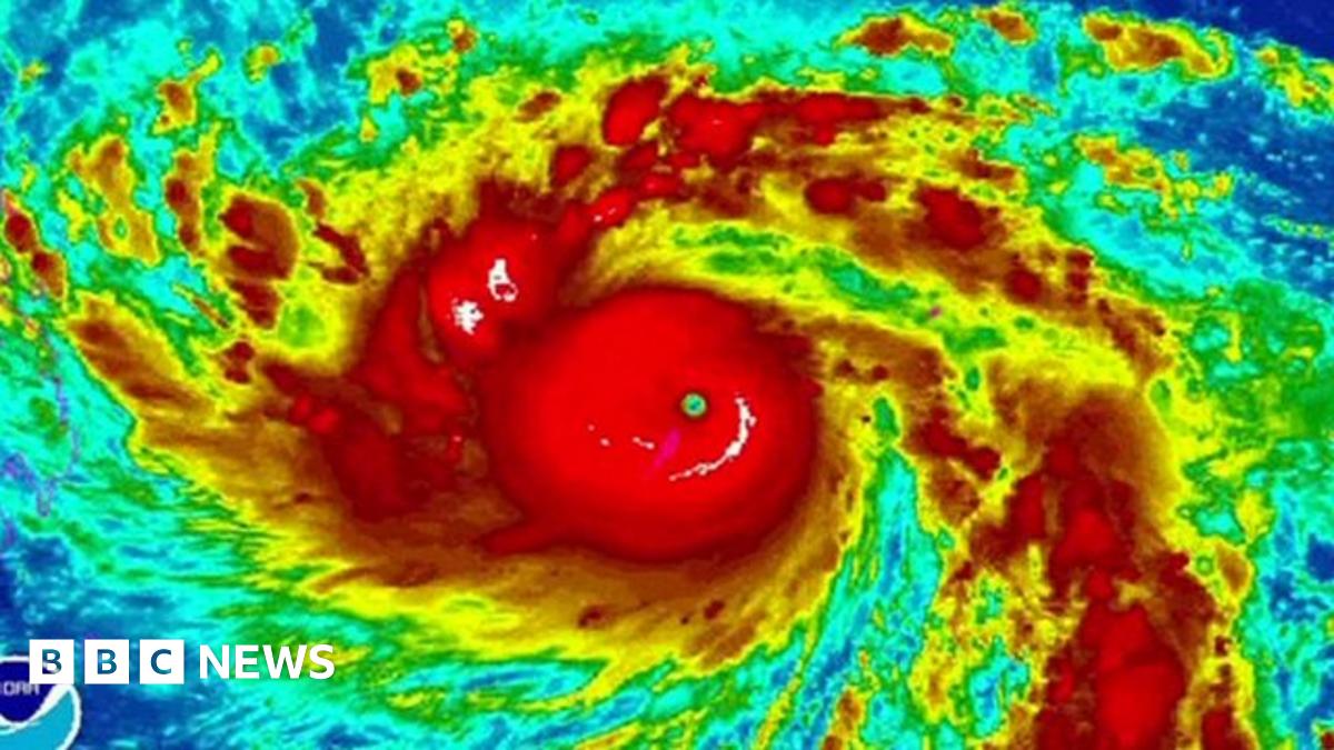
He urged action to reduce emissions to minimise the likelihood of disasters like Typhoon Haiyan, which has claimed thousands of lives in the Philippines.
The WMO's head, Michel Jarraud, echoed his call: “The Philippines is reeling from Typhoon Haiyan... and is still struggling to recover from a typhoon one year ago.
"Although individual tropical cyclones cannot be directly attributed to climate change, higher sea levels are already making coastal populations more vulnerable to storm surges."
The Intergovernmental Panel on Climate Change (IPCC) says the jury is out on whether the frequency of tropical cyclones will increase, but Michel Jarraud said it was expected that the impact of storms would be more intense.
Of the broad pattern, he said: “All of the warmest years have been since 1998, and this year once again continues the underlying, long-term trend. The coldest years now are warmer than the hottest years before 1998.
"Atmospheric concentrations of carbon dioxide and other greenhouse gases reached new highs in 2012, and we expect them to reach unprecedented levels yet again in 2013. This means that we are committed to a warmer future.
"Surface temperatures are only part of the wider picture of our changing climate. The impact on our water cycle is already becoming apparent - as manifested by droughts, floods and extreme precipitation."
Today’s statement is provisional, pending weather patterns to the end of the year, but it confirms that global sea level reached a new record high.
Mr Kim said the overall trend was clear. He urged governments to end subsidies for fossil fuels and give people clean energy sources.
Australian arguments
The Philippines is not the only place to experience extreme weather: in 2012, the US suffered record high temperatures; this year was the turn of Australia.
It recorded its warmest 12-month period on record in the period ending in August. This record was broken in the 12 months from September 2012 to September 2013 and again in the 12 months to October.
Despite the record temperatures, climate change has proved politically explosive in Australia, with the new government scrapping a controversial carbon tax and refusing to pay into a fund to help poor countries most affected by climate change.
There is a high level of scepticism on climate change in Australia, and government ministers point to the uncertainties over future projections.
But Prof Kevin Parton from the Institute for Land, Water and Society at Charles Sturt University, external in New South Wales said: “The overall message of the WMO statement is that recent conditions from all parts of the globe have been precisely what climate scientists predicted would occur under conditions of global warming.
"Apart from increasing global temperatures, the statement points to many, many examples of extreme weather from the UK to Russia, and from the Sudan to Argentina. It also highlights huge impacts of climate change on Arctic sea ice, the Greenland Ice Sheet, Antarctic sea ice and the rise in global sea level.
"If you look only at heat waves over the last 12 months, then extreme conditions occurred in Australia, South Africa, Pakistan, Austria, Finland, China and Japan.”
Dr Steve Rintoul, research team leader at Australia's CSIRO Marine and Atmospheric Research, external division, said: "A more significant point is that global-average temperature in each of the last three decades has been warmer than any prior decade dating back to 1850, as reported in the recently released IPCC report. It provides compelling evidence that human activities are primarily responsible for the warming over the last 50 years."
The new findings come as nations meeting at UN climate talks in Warsaw, Poland, are struggling to make progress on political solutions.
In the UK, which has led the world in climate change policy, the Prime Minister David Cameron has shifted the emphasis from tackling climate change to holding down consumers’ bills.
Follow Roger on Twitter, external.
- Published13 November 2013

- Published8 November 2013

- Published8 November 2013

- Published27 September 2013

- Published5 July 2023
